Как избавиться от перхоти у собаки
Перхоть – это не самостоятельное заболевание, а симптом другой проблемы. И перед тем, как лечить появившиеся чешуйки на коже, необходимо выяснить причину и устранить ее.
Независимо от провоцирующего фактора ветеринар дополнительно назначает собаке омега 3 жирные кислоты для приема внутрь, капли для кожи и шерсти на холку, гипоаллергенные шампуни и препараты против зуда.
Шампуни для собак от перхоти
При сильном шелушении эпидермиса собаке показаны гипоаллергенные или противогрибковые шампуни:
- Цитодерм;
- Dandruff;
- 8in1 Medicated;
- Доктор.
Шампунь Цитодерм от перхоти содержит противогрибковое средство климбазол. В составе также имеются экстракт алоэ вера, который способствует снятию зуда и раздражения. Составляющий компонент пиритион цинка контролирует работу сальных желез.

Dandruff ─ шампунь фирмы Globalvet (Глобалвет) обладает противосеборейными, ранозаживляющими и противовоспалительными свойствами. Помогает убрать перхоть после нескольких применений.
8in1 Medicated фирмы Perfect Coat на основе дегтя и экстракта алоэ предназначен для избавления животного от шелушения кожи и зуда.
Шампунь Доктор с климбазолом применяется для борьбы с грибковыми микроорганизмами на коже собаки. Используется для профилактики и лечения перхоти.
Препараты
При дерматитах любой этиологии ветеринар назначает капли на холку для улучшения состояния кожи и шерсти:
- Essential 6 spot on dermoscent;
- Цитодерм.
Препараты содержат растительные масла, обладающие противовоспалительным, генерирующим, противозудящим свойствами. Применяются в составе комплексной терапии и помогают быстрее вылечить перхоть.
Избавить собаку от сухости покровов и зуда поможет суспензия Стоп-зуд и другие ветеринарные препараты с аналогичным действием.
При грибковых заболеваниях прописывают наружно Фунгин форте или любое другое ветеринарное средство с противогрибковым свойством.
В случае блошиного дерматита, триходектоза или хейлетиеллёза вывести паразитов помогут капли на холку с акарицидным действием: Адвокат, Фронтлайн, Стронгхолд, Бравекто и др.
Причины
К сожалению, трихологи до сих пор не пришли к единому мнению, из-за чего возникает данная болезнь. Некоторые считают основной причиной заболевания недостаток кожного сала, из-за которого нарушается процесс регенерации клеток. Другие врачи полагают, что грибок Pityrosporumovale активно размножается на фоне сниженного иммунитета.
К причинам также относят такие разрушающие факторы, как:
- нарушение метаболизма;
- дерматоз;
- гормональный сбой;
- болезни ЖКТ;
- смена климата;
- авитаминоз;
- прием антибиотиков;
- стрессы, длительное нервное напряжение.
Нередко к сухой перхоти приводит и неправильный подбор косметических средств. Неподходящий шампунь пересушивает кожу головы, вызывая неприятный «снегопад». Также к проблеме может привести слишком жесткая вода.
Дифференциальная диагностика
В первую очередь необходимо исключить у собаки наличие дерматита паразитарной или аллергической этиологии. Для этого берется соскоб кожи у животного или мазок-отпечаток скотчиевой лентой. Такие виды диагностики позволяют выявить возбудителя патологии.
В случае аллергического дерматита производят забор крови для выявления аллергена.
Анализ кала необходим при подозрении на наличие внутренних паразитов.
УЗИ проводится для выявления внутренних патологий, которые могли спровоцировать развитие перхоти.
По результатам диагностики ветеринар решает, что делать дальше, и какое лечение назначить собаке.
Как лечить блошиный дерматит
Так как вылечить блошиный дерматит у собак? Мы выяснили, что, если чешется собака, первое, что нужно исключить – это блохи (и другие наружные паразиты). Прогнать паразитов можно с помощью специальных препаратов. Но лечение блошиного дерматита у собаки должно быть комплексным
Кроме уничтожения паразитов не менее важно, снять симптомы блошиной аллергии, устранив зуд и воспаление кожи у собаки. Ведь даже после гибели всех блох, симптомы могут сохраняться в течение месяца и даже дольше, серьезно снижая качество жизни животного и его владельца
Это связано с тем, что как только слюна блохи попала в кровь собаки, в ее организме запускается целый каскад реакций, направленных на устранение этого чужеродного яда. И бушевать этот каскад может довольно долго. А собака в это время будут чесаться и чесаться, снова и снова повреждая свою кожу. Чем дольше не принимать меры по устранению последствий укусов, тем серьезнее могут быть повреждения кожи.

Препарат Апоквел успешно снимает симптомы блошиной аллергии у собак, начиная действовать уже с первых часов после дачи таблетки. Его можно применять весь период, пока реакция на укусы блох проявляется
Но очень важно использовать его параллельно с противопаразитарными средствами, ведь они устраняют причину блошиной аллергии
Проконсультируйтесь с ветеринарным врачом, как Симпарика, Стронгхолд и Апоквел могут помочь при блошином дерматите.
Ведь, если вы принимаете надлежащие меры предосторожности, ваш питомец не будет страдать от каких-либо негативных последствий из-за укусов блох. 1
Dryden MW, Payne P, Zurek L. Fleas Infesting Pets & Home, Kansas State University, September 2003
1. Dryden MW, Payne P, Zurek L. Fleas Infesting Pets & Home, Kansas State University, September 2003
Чем помочь собаке при перхоти
Независимо от того, какова причина перхоти у собак и какое лечение назначил врач, хозяин должен предпринять некоторые действия, облегчающие состояние четвероногого друга.
- Внести изменения в рацион. Если пища была однообразной – ввести дополнительные продукты (сменить корм). Обогатить рацион витаминами, особенно А и Е, омега-кислотами. Обеспечить достаточное поступление питательных веществ. Проследить, чтобы в еде отсутствовали искусственные добавки.
- Регулярно чесать питомца. При ежедневной процедуре происходит не только отслоение и удаление отмерших чешуек, но и улучшение кровотока в эпидермисе, нормализация обмена веществ и работы сальных желез.
- Повысить влажность воздуха в доме.
- Применять только тот шампунь, который согласован с врачом. Ни в коем случае не использовать фен для сушки – питомец должен просохнуть естественным образом.
- Если диагноз связан с наличием наружных паразитов, обработать не только собаку, но и подстилку, а также квартиру (пол, мебель, покрывала).
Что такое перхоть и как она может выглядеть
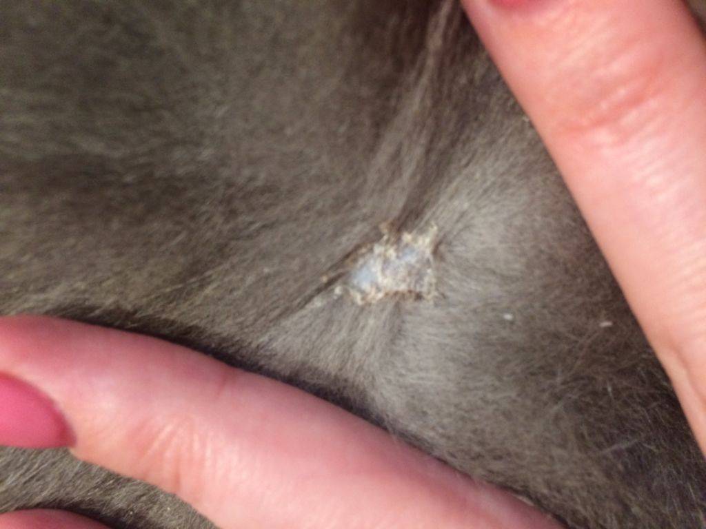
Перхоть – это отмершие частички эпидермиса. В норме они образуются в небольшом количестве вследствие естественного старения и гибели клеток кожи. Если их образование ускоряется, а количество значительно увеличивается (что можно заметить невооруженным глазом), говорят о перхоти.
Частички могут напоминать муку или хлопья; они могут быть сухими или «мокрыми», слипаться в комочки. Месторасположение чешуек на теле собаки также различно: они могут покрывать тело полностью, располагаться в отдельных местах – на ушах, хвосте, животе и так далее. Кроме того, они отличаются и по цветовому оттенку: часто встречаются не только белые, но и черные, розоватые, желтые и другие частички эпидермиса. В любом случае, появление перхоти на питомце придает ему неопрятный вид и требует немедленного поиска причины.
Перхоть у собак на фото

Что представлять собой перхоть у собак
Перхоть у собак — это не только нарушение внешней и эстетической красоты животного, но также серьезная угроза для общего состояния его здоровья.
В большинстве своем заражению перхотью предрасположены питомцы, живущие со своими хозяевами в больших оживленных городах.
Экология значительно влияет на состояние и внешний вид животного, точно также, как неблагоприятные условия проживания или отсутствие сбалансированного питания.
Переизбыток отмерших частиц на шерсти животного, что и принято называть перхотью, — первый сигнал о том, что организм переживает какие-то осложнения, порою граничащие с хроническими заболеваниями.
В это же время умеренное обновление и отмирание шерсти является процессом нормальным и естественным.

Перхоть у собаки крупным планом
Синдром пловца
Рахит у щенков француза явление частое. Причины появления рахита вызваны недостатками питания щенков. Если в питании не хватает кальция и фосфора, то у щенков начинает деформироваться скелет. Первые признаки рахита у щенков можно заметить по плавающей походке или передвижению на животе. Щенки не могут подняться на лапы самостоятельно.
Полезные советы по борьбе с перхотью
Рахит у щенков достаточно легко лечится. Достаточно ввести в рацион кальций, фосфор и увеличить количество времени, которое собака проводит на солнце. Это увеличивает производство организмами щенков витамина Д и усваивание микроэлементов и минералов. При своевременной диагностике и качественном лечении щенки быстро поправляются от рахита и вырастают в здоровую особь.
Как избежать перхоти
Правильное лечение для выведения перхоти
Лечение сильного шелушения напрямую зависит от причины его появления.
Если состояние питомца остается нормальным, температура не повышается, его не беспокоит зуд, не появляются ранки, то, скорее всего, нужно сменить шампунь или изменить рацион питания
В обратном случае важно посетить ветеринара для установления диагноза.
Чтобы победить сухую перхоть из-за неувлажненного воздуха, нужно просто установить увлажнитель, который будет конденсировать пар.
Если питомец находится под воздействием сильных стрессов, нужно обеспечить ему частые прогулки и тренировки.
Обзор лучших препаратов и шампуней против перхоти
Действие противоперхотных препаратов направлено на очищение кожи от чешуек, успокоение зудящих участков и иногда избавление от эктопаразитов. В состав шампуней зачастую входят такие соединения: сера, деготь, салициловая кислота, пероксид бензола.
- Шампунь «Доктор» часто используется при лечении заболеваний эпидермиса. Препарат нормализует работу сальных желез, продуцирование секретов, уменьшает воспаление, снимает зуд, очищает кожу от перхоти. Используют его однократно или с повторением через 2-3 дня. Средняя цена – 150-260 рублей (в зависимости от добавок и размера флакона).
- Фронтлайн – средство, выпускается в виде спреев и растворов для наружного применения, способствует выведению эндопаразитов. Кроме того, улучшает общее сотояние кожного и шерстного покрова, используется одноразово. Цена наружных капель – 220-400 рублей, цена спрея – 430-700 рублей.
- Стоп-зуд – спрей, используется для успокоения зудящей кожи. Применяется в комплексном лечении дерматитов. Стоимость – 300-400 рублей.
- Anti-Dandraff – шампунь, используется для вымывания сухой перхоти с кожи животного, в составе содержит масла календулы, подходит для животных с чувствительной кожей. Стоимость – 900-1000 рублей.
- Шампунь «Луговой» – препарат на основе природных компонентов, обладает противовоспалительным эффектом, отчищает эпидермис от ороговевших клеток. Средняя стоимость – 169-200 рублей.

Использование народных средств
Шелушение кожи, которое не является симптомом инфекционного заболевания, может лечиться путем применения народных средств на основе растений. Как и производственные препараты, народные методы направлены на избавление питомца от зуда, уменьшение воспаления, очищение кожи.
- Оливковый сквален наносится дважды в день, снимает раздражение, заживляет микротрещины, смягчает и успокаивает кожу. Средсво не имеет запаха и не оставляет жирной пленки на шерсти.
- Миндальное масло и лаванда (можно заменить эвкалиптом), полученную смесь наносят между лопаток или на загривок как обычное противопаразитарное средство. Используют ежедневно, до 2-х недель. Средство борется с паразитами.
- Отвары полыни или пижмы. Их применяют как шампуни во время водных процедур. Помогают в борьбе с блохами и клещами.
Профилактика
В целях профилактики заболеваний стоит отказаться от водопроводной воды. Питомцу дают отфильтрованную либо бутилированную жидкость.

Нельзя кормить собаку продуктами со стола. Многие из них способны вызвать аллергию, организм животного не выделяет ферменты для переваривания консервов, копченостей, шоколада.
Важно регулярно выводить глистов и эктопаразитов у домашних питомцев. Насекомые являются разносчиками различных инфекций и заболеваний
При обнаружении перхоти на теле животного нельзя заниматься самолечением, собаку показывают ветеринару. Шелушение кожи – первый симптом нездоровья.
Какие заболевания вызывают перхоть?
Хуже обстоит дело, когда белые хлопья появляются не из-за внешних факторов, а из-за патологий – кожных или системных.
В таких случаях невозможно просто устранить первопричину и через несколько дней или пару недель наслаждаться чистой шубкой собаки.
Придется проходить полноценное обследование, сдавать многочисленные анализы, соблюдать длительный и утомительный курс лечения.
Кожные заболевания
Как правило, перхоть вызывают следующие заболевания кожи:
- грибковые поражения;
- дерматоз;
- дерматиты – аллергические или атопические;
- бактериальная инфекция;
- чесотка (саркоптоз);
- лишай (дерматофитоз).

В случае патологий у собаки проявятся и другие симптомы:
- обильное выпадение шерсти, локальная алопеция;
- гиперемия кожи;
- уплотнение эпидермиса;
- повышенная сальность;
- различные повреждения – болячки, расчесы;
- сыпь.
Точный диагноз может поставить лишь ветеринарный врач.
Нередко перхоть при заболеваниях кожи не белая, а желтого, красного или даже черного цвета.
Желтый цвет указывает на чрезмерную работу сальных желез, перхоть в этом случае будет жирной, липнуть к шерсти, плохо вычесываться.
Красный и черный оттенки – это не перхоть как таковая, а поврежденные клетки кожи. Хлопья нестандартного цвета появляются при расчесывании: хозяин попросту счесывает поврежденный слой эпидермиса с запекшей кровью.
Себорея – наиболее распространенная причина
Чаще всего обильные хлопья возникают из-за себореи. Этот термин ошибочно считают синонимом перхоти. Следует понимать, что белые чешуйки – это симптом, а себорея – заболевание, возникшее из-за нарушения работы сальных желез и излишнего нарастания кожи.

Вначале появляется только сильная сухая или жирная перхоть. По мере прогрессирования волоски жирнеют, присутствует отчетливый запах, который не пропадает даже после купания. Дальше кожа краснеет, покрывается трещинами и расчесами.
На запущенной стадии присоединяется инфекция. Она попадает через раны на коже. Вывести перхоть в этой фазе заболевания очень трудно.
Системные патологии
На состояние кожи собаки влияет ее общее самочувствие. Если возникла перхоть, а все внешние факторы и возможные заболевания кожных покровов исключены, следует искать причину среди патологий внутренних систем и органов.
Если перхоть появилась у щенящейся суки, необходимо исключить авитаминоз и послеродовую депрессию.
У некастрированных кобелей белесые хлопья могут появиться из-за нереализованного полового инстинкта. Большой всплеск гормонов вкупе с неудовлетворенными потребностями провоцирует сбой работы щитовидной железы и надпочечников. Эти проблемы отражаются на состоянии кожи.
Почему появляется перхоть у собак
Выделяют много причин появления перхоти у собак. Среди самых распространенных можно отметить следующие.
- Нарушения в рационе. Корм низкого качества, высокое содержание красителей и консервантов в еде питомца, преобладание в рационе одного вида продуктов на протяжении длительного периода времени, пища, бедная витаминами и минеральными веществами и многие другие ошибки – наиболее частый фактор, приводящий к перхоти.
- Неправильное вычесывание. Щетка для собаки должна соответствовать особенностям шерсти (длине, густоте), чувствительности кожи животного, размерам тела. В противном случае возможны повреждения эпидермиса и ответная реакция в виде обильного отслоения чешуек.
- Паразиты. К обильному появлению перхоти могут приводить как наружные паразиты (клещи, блохи), так и внутренние. В последнем случае отслоение кожных частичек спровоцировано аллергической реакцией на интоксикацию.
- Сухой воздух. В основном, это касается собак, живущих в квартире, и связано с отоплением. Чрезмерно сухой воздух, перепады температуры (улица – дом) приводят к иссушению кожного покрова животного, что нарушает процессы клеточного обновления.
- Ошибки в уходе. Этот пункт включает в себя использование для мытья собаки человеческих шампуней, слишком частые купания, злоупотребление средствами, предназначенными для выставочного показа (например, лаки, гели) и другие неправильные действия владельца. В результате кожа питомца становится сухой, шелушится, возникает перхоть.
- Линька. Образование перхоти на спине часто сопровождает линьку собаки. Когда этот период заканчивается, процесс регенерации кожи тоже восстанавливается.
- Грибковые инфекции. Привести к обильному отслоению кожных чешуек может грибок. Чаще грибковые заболевания поражают собак, имеющих складчатую поверхность тела.
- Стресс. Нервный стресс нарушает метаболические процессы во всем организме собаки, в том числе в процессах обновления кожного покрова. При этом стрессовая ситуация может быть спровоцирована любым явлением: отъездом хозяина, переменой места жительства, перестановкой в доме, испугом и так далее.
- Возрастные особенности. У щенков перхоть может быть обусловлена окончательными процессами становления эпидермиса. В щенячьем возрасте еще продолжается (и заканчивается) формирование нервных окончаний и рефлексов, становление активности сальных желез.
- Аллергия. Может возникнуть на что угодно: еду, вещества, средства для гигиены, других питомцев и так далее.
- Внутренние болезни. Нарушение обмена веществ, вызванное гормональным сбоем, злокачественными опухолями, бактериальными и вирусными болезнями, часто является причиной появления перхоти у собак.
Внимание: ввиду большого количества факторов, приводящих к образованию перхоти, в первую очередь нужно исключить заболевания и паразитов. Прежде чем предпринимать самостоятельные действия, нужно обратиться в клинику и провести обследование собаки
Профилактика аллергии
Пока микробиологи заняты разработкой универсального снадобья, которое на корню изведет любые виды аллергии, у собаководов остается один путь – превентивные меры.

Они заключаются в ограждении французского бульдога от соприкосновения с веществами (не только пищевыми), способными стать катализаторами аллергической реакции. Это проще сделать, когда вы точно знаете, на что отреагирует ваша собака. Следует помнить, что чувствительность к продуктам чаще отмечается у подростков до полугода, особенно при появлении в их миске чего-то незнакомого.
Ваш щенок не должен попрошайничать, а гости – тайком угощать его запрещенными лакомствами.
Хозяин аллергика никогда не должен расслабляться: иногда приступ случается даже на фоне сбалансированного кормления. Это происходит из-за накопления токсинов в собачьей печени.
При здоровой печени и почках, умеющих быстро освобождать организм от шлаков и ядов, аллергия практически невозможна.
Вернуться к содержанию
Виды аллергии у французского бульдога
Сверхчувствительность организма к определенному веществу была названа аллергией. В термине соединились два греческих корня – ἄλλος (чужой) и ἔργον (воздействие). В роли провокаторов могут выступать самые безобидные субстанции, начиная от простейших брома/йода и заканчивая сложными соединениями (не обязательно белковыми).
Французские бульдоги, как и остальные собаки-аллергики, демонстрируют гиперчувствительность ко множеству раздражителей, но биологи подсчитали, что 20-40% поражений собачьей кожи обусловлены реакцией на корм.
Пищевая аллергия
Это ответ иммунной системы на появление в рационе одного или нескольких источников протеинов, причем большинство собак (60%) отторгают как минимум два разных белка.

Чаще всего аллергенами становятся:
- мясо птицы, особенно куриное;
- рыба и яйца;
- цитрусовые;
- говядина и телятина (реже);
- молочные изделия, включая молоко;
- дрожжи, соя и ее производные;
- кукуруза, красные овощи/фрукты;
- растительное масло (льняное, соевое) и рыбий жир.
Иногда пищевая гиперчувствительность проявляется на вполне нейтральные продукты, например, крупы. Так, одни «французы» спокойно едят пшенную кашу, а другие ее не переносят.
Проблемность этого вида аллергии заключается в ее накопительном эффекте. Иногда реакция возникает почти моментально, в иных случаях проходят дни и месяцы, прежде чем становятся заметными признаки неприятия конкретного корма.
Лекарства
Запустить аллергическую реакцию способны антибиотики, препараты морфина и наперстянки, хлоралгидрат, барбитураты, сульфаниламиды, бутадион, амидопирин (пирамидон) и хинин. Виновниками аллергии бывают также сыворотки и вакцины с живыми бактериями, пчелиная и цветочная пыльца, витамины и их комплексы на основе пивных дрожжей, экстракт люцерны (альфальфа), новокаин и инъекции витамина В1.
Бытовая химия и косметика
Спровоцировать один из видов аллергии, контактный дерматит (с перхотью и зудом), могут шампуни и мыло
Поэтому к их подбору надо подходить с осторожностью, обращая внимание на шампуни с гипоаллергенными свойствами

Французский бульдог может отреагировать и на препараты бытовой химии, если владельцы вовремя не перекроют к ним доступ.
Аутоаллергия
Редко, но бывает, что собачий организм становится врагом самому себе, начиная производить собственные аллергены. Причина сбоя – тяжелые нарушения иммунитета и наличие аутоиммунных болезней. Считается, что с этой разновидностью аллергии (в большей либо меньшей степени) сталкиваются почти все обладатели французских бульдогов.
Аллергия на владельцев
Эту экзотическую (на первый взгляд) гиперчувствительность обнаружили финские ветеринары, подметившие, что ее провоцируют фрагменты эпителия, волосы и даже хозяйская перхоть.
Риск подобной аллергии снижают простые правила: поменьше обнимайте пса и не кладите его в свою постель; следите, чтобы ваши биоматериалы (частички кожи, перхоть) не попадали на собаку, а ошейник/намордник не мешали ее дыханию.
Эпидермальные вещества
К ним относятся волосы и перхоть различных животных. Сюда же включена реакция на собственную старую шерсть при сезонной линьке.
Микроорганизмы

Эта сверхчувствительность называется инфекционной. Ее вызывают вирусы, бактерии (не всегда болезнетворные) и разные гельминты, в том числе глисты.
Паразиты и насекомые
Укусы комаров, клещей, блох, пчел и им подобным ответственны за аллергические проявления разной степени тяжести (до анафилактического шока).
Вернуться к содержанию























































